반응형
    
    
    
  안토시아닌은 항산화 특성을 지닌 플라보노이드의 일종입니다. 이전 포스팅에서는 '안토시아닌이 우리 몸에 주는 효과'에 대해 알아보았는데요. 이번 포스팅에서는 안토시아닌이 풍부하게 들어 있는 대표 식품에 대해 알아보겠습니다. 지난 포스팅에서도 언급하였듯이 안토시아닌은 우리 몸에 많은 영양적 효과를 주고 있습니다.

1. 보라색 옥수수
- 항염증 효과: 보라색 옥수수는 항염증 효과가 가지고 있어 만성 질환과 관련된 신체의 염증 완화에 효과가 있습니다.
- 심장 보호 효과: 혈압을 낮추고 지질 프로필 개선, 스트레스로부터 보호하여 심혈관 질환의 위험을 낮춤으로써 심혈관 건강에 도움이 됩니다..
- 항당뇨병 특성: 보라색 옥수수는 항당뇨병 효과가 있습니다. 안토시아닌이 혈당 수치를 조절하고, 인슐린 민감성을 개선하며, 당뇨병과 관련된 합병증을 줄이는 데 도움을 줍니다.
- 암 예방: 보라색 옥수수의 특정 화합물은 암세포의 성장을 억제하고 특정 유형의 암 발병을 예방하는 데 도움이 됩니다.
- 신경보호 효과: 안토시아닌의 항산화 특성은 신경 세포 보호하여 신경 퇴행성 질환의 위험을 줄여줍니다.
- 간 건강: 간 손상을 방지하여 간 건강에 도움이 됩니다.

2. 아로니아
- 항산화 특성: 초크베리라고도 알려진 아로니아는 장미과에 속하는 과일입니다. 진한 보라색 또는 검은색으로 안토시아닌, 플라보노이드, 폴리페놀 및 비타민을 포함한 다양한 화합물이 들어있습니다. 특히, 안토시아닌 함량이 높습니다. 이 항산화제는 활성 산소를 중화시켜 신체의 산화 스트레스를 줄이는 데 도움을 주어 만성 질환을 예방합니다.
- 심장 보호 효과: 연구에 따르면 아로니아는 심혈관 건강에 긍정적인 영향을 주고 혈압을 낮추며 염증을 줄여 심혈관 질환 예방에 좋습니다.
- 항염증 활성: 성분이 함유되어 있습니다. 신체의 염증을 완화하여 염증성 질환이 있는 사람에게 도움을 줍니다.
- 항당뇨병 효과: 항당뇨병 특성이 있어 혈당 조절, 인슐린 민감도 향상 등의 효과가 있습니다.
- 암 예방: 폴리페놀을 포함하여 항암에 효과적입니다. 암세포의 성장을 억제하고 특정 유형의 암 위험을 줄이는 데 도움이 된다고 합니다.
- 위장 건강, 면역 시스템 지원, 신경보호 효과

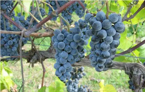
3. 노턴포도
- 항산화 특성: 노턴(Norton) 포도는 와인 용 포도 품종 중 하나로 레드 와인 포도를 만드는 품종입니다. 다른 적포도와 마찬가지로 노턴 포도에는 레스베라트롤, 케르세틴, 안토시아닌을 포함한 폴리페놀이 포함되어 있습니다. 이 화합물은 항산화 특성을 가지고 있어 신체의 자유 라디칼을 중화하고 산화 스트레스를 줄여줍니다.
- 심장 보호 효과: 함유성분 중 레스베라트롤은 혈압을 낮추고 염증을 줄이며 콜레스테롤 수치를 개선함으로써 심장 건강에 도움이 됩니다.
- 항염증 활성: 노턴 포도에서 들어있는 폴리페놀은 항염증 특성을 가지고 있어 신체의 염증을 완화하는 데 도움을 줍니다
- 혈당 조절: 레스베라트롤이 인슐린 민감성을 개선하고 혈당 수치를 조절하는 역할을 한다는 연구 결과도 있어 당뇨병 환자나 당뇨병 발병 위험이 있는 사람들에게 도움이 될 수 있습니다.
- 암 예방: 암세포의 성장을 억제하고 특정 유형의 암 위험을 줄이는 데 도움이 될 수 있습니다.

4. 가지
- 산화 방지제 풍부: 가지에는 비타민 C, E를 포함한 항산화제와 나수닌이라는 영양소가 들어 있어 신체의 자유 라디칼을 중화시고 산화 스트레스를 줄여 줍니다.
- 심장 건강: 콜레스테롤 수치를 낮추고 클로로겐산이 들어 있어 심장 질환 위험을 줄여줍니다.
- 혈당 조절: 혈당 수치를 조절하여 당뇨병 환자나 당뇨병 발병 위험이 있는 사람들에게 도움이 됩니다.
- 체중 관리: 낮은 칼로리 함량과 높은 섬유질 함량을 가지고 있어 체중을 고려한 식단에 유익합니다. 섬유질은 포만감을 만들어 체중 관리에 도움이 됩니다.
- 암 예방: 항산화제와 식물 영양소가 잠재적인 항암 효과를 나타낼 수 있다고 알려져 있습니다.

이상으로 포스팅을 마칩니다. 보라색 과일 많이 드시고 건강하세요. 감사합니다~!
이글과 연관된 인기있는 글
안토시아닌 이야기 첫번째: 안토시아닌의 효능
안토시아닌(Anthocyanin)은 꽃이나 과실 등에 주로 포함되어 있는 색소입니다. 수소 이온 농도에 따라 빨간색, 보라색, 파란색 등을 띱니다. 안토시아닌은 항산화제로서의 가치가 있으며, 항산화 물
just-do-it.co.kr
반응형
    
    
    
  '건강' 카테고리의 다른 글
| 현명한 선택! 설맞이 선물 고르는 노하우와 부모님 선호 건강식품 소개 (0) | 2024.02.01 | 
|---|---|
| 건강한 수면을 위한 12가지 습관 제안 (0) | 2024.02.01 | 
| 안토시아닌 이야기 첫번째: 안토시아닌의 효능 (0) | 2024.01.27 | 
| 질경이의 다양한 활용법과 약리효과 (2) | 2024.01.16 | 
| 여성의 노화 징후와 노화를 늦추는 방법 (0) | 2024.01.15 | 






 
														
													 
														
													 
														
													